Á procura dos petróglifos do Monte da Fontecova (Compostela) III. O petróglifo dos Gorgulliños


Hai certas regras informais, non escritas, en ocasións non facilmente demostrables pero que, a forza de repetirse, non deberían tomarse á lixeira. No eido dos petróglifos unha desas regras é a que di que onde hai un petróglifo adoita haber máis. Por iso, unha vez localizamos as estacións da Casa do Frade, non podíamos deixar a zona sen antes darlle unha boa ollada aos afloramentos graníticos máis próximos e accesibles.

Localización xeral dos petróglifos na contorna do Fontecova

Con anterioridade unha peneda xa nos tiña chamado a atención. Facíase apenas visible desde o casal de Pardaces de Abaixo no percorrido habitual ata os petróglifos da Casa do Frade.

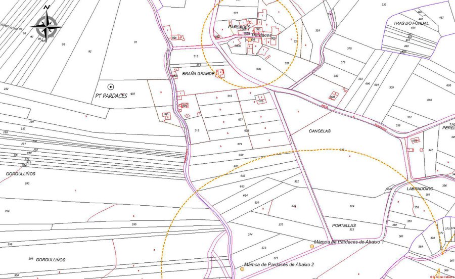
Plano catastral coa localización do petróglifo dos Gorgulliños

Sitúase na aba dun outeiro por enriba das casas de Pardaces de Abaixo, a uns 50 metros ao oeste da estrada e a uns 600 metros ao norte do petróglifo de Casa do Frade 1 (Coordenadas UTM. 29 T 535705 4751103 Datum WGS84, e unha altitude de ). Achegámonos ata a peneda. Destaca sobre o terreo, unha costa de forte inclinación que cae en dirección leste cara o val. Ten unhas dimensións de 8 x 5,5 metros. Pero as formas irregulares e o deterioro das súas superficies inicialmente transmitíronnos malas sensacións. Observamos as superficies máis horizontais da cima da peneda e nelas non atopamos nada destacable. Son superficies moi irregulares con varias pías e con procesos de meteorización activos en boa parte delas.

Petróglifo dos Gorgulliños. Vista cenital

Como chegar

Para achegarnos ata este xacemento non dispomos de camiño de acceso propiamente dito, por isto, desde as casas de Pardaces de Abaixo, buscaremos coa mirada o afloramento e procederemos a achegarnos atravesando o monte, máis ou menos en liña recta conforme o permita a vexetación.

Petróglifo dos Gorgulliños. Cervos

O petróglifo dos Gorgulliños

Aplicando unha vez máis o recentemente aprendido, prestamos especial atención aos bordes do afloramento orientados cara o sur e o sueste e ao pouco tempo localizamos no centro dunha superficie inclinada un longo e profundo suco recto. Deseguida decatámonos de que formaba parte da figura dun gran cervo de longos cornos. A continuación, obviamente, procedemos a analizar en detalle a peneda.

Os Gorgulliños. Reconstrución fotogramétrica

Dividimos en tres paneis a estación para facilitar a súa descrición:

Panel 1

Correspóndese coa superficie inclinada orientada cara o sueste e nela consérvanse dous cervos de grandes dimensións. O situado no nivel superior ten o corpo elaborado cun só suco e conserva dous longos cornos. Represéntanse as extremidades con catros sucos simples e remata o seu corpo nunha prominente cola alongada e caída. Mide 31 cm de longo por 45 cm de alto.

Petróglifo dos Gorgulliños. Cervo

O cervo situado no nivel inferior é apenas perceptible con luz natural xa que presenta moi mal estado de conservación. O corpo, moi estreito, foi elaborado con dobre suco e conserva dous longos cornos con seis ramificacións cara o interior. Mide 22 cm de longo por 26 cm de alto.

Os Gorgulliños. Panel 1. Reconstrución fotogramétrica

A esquerda deste cervo consérvanse tres coviñas moi erosionadas que se atopan no borde do panel. A dereita do cervo visualízase unha pequena coviña cun suco recto.

Petróglifo dos Gorgulliños. Cervos

Panel 2

Nunha superficie moi irregular situada por enriba do panel 1, no borde sur do afloramento, consérvanse gran cantidade de motivos. Coviñas e cruces. Coviñas de moita profundidade e bo diámetro ocupan boa parte das estreitas superficies máis horizontais deste borde irregular. Inseridas entre elas e ao redor vense varias cruces de sucos profundos e sección transversal en V. A maioría das coviñas distribúense conformando unha aliñación irregular. Contabilizamos un total de 15 coviñas e ata 6 cruces. As coviñas oscilan entre os 5 e os 9 cm de diámetro e teñen unha profundidade media de 3 cm.

Petróglifo dos Gorgulliños. Coviñas e cruces

Panel 3

Nunha superficie inclinada orientada cara o sueste e situada acaroada á dereita do panel 1 localizamos 2 coviñas

Pouco despois de que localizásemos esta estación soubemos, por Fernando Alonso Romero, de referencias orais dos veciños de Pardaces de Abaixo que relataban que cando eran nenos empregaban esta peneda como escorregadoiro para os seus xogos.

Outros bens patrimoniais próximos

Antes da localización destes novos xacementos nesta zona, os elementos arqueolóxicos que destacaban polo seu número as mámoas. As importantes necrópoles como a das Laxas, a das Chans de Figueiras, a da Peregrina ou a da Canteira en Miramontes súmanselle outras mámoas que se distribúen por toda a contorna como as de Fontenla 1 e 2, as de Pardaces de Abaixo 1 e 2 (moi próximas aos xacementos apenas perceptibles dado o mal estado de conservación e situárense na beira dun camiño agrícola), a do Queiroal, a medorra de Penas Negras ou a mámoa do Chan de Camouzo. Entre os xacementos da Idade do Ferro os castros de Chan do Castro e o Castro de Fontoade son bos exemplos.

Por último destacan dous xacementos de especial interese para nós pola posible sincronía cos petróglifos. Son os xacementos  de Portabrins e o de Volta do Carballo, nas aforas do Mercuto, na parroquia amiense da Ameixenda. Neste último, a 1,5 km do petróglifo de Fonte Matanza, localizouse un depósito de dez machados de tope de bronce xunto con cerámica asociada, hoxe en día conservados no Museo Arqueolóxico do Castelo de San Antón. Trátase de machados de talón, dous aneis e folla lisa. O peso total do depósito é de 10,9 kg. Son machados dunha tipoloxía denominada por Monteagudo como “tipo Coruña” e adscribibles cronoloxicamente ao Bronce Final (1100-700 a.C.).

Depósito de machados de bronce do Xacemento do Carballo. O Mercuto. Ameixenda. Ames

O de Portabríns localízase nas abas do monte Pedroso, foi localizado na última década do século pasado durante os traballos de seguimento e control arqueolóxico para a construción da Rede de Gasificación de Galicia. Sitúase  a 1 km dos petróglifos de Casa do Frade 1 e os Gorgulliños. Trátase dun xacemento doméstico, dun conxunto de habitación aberto, non visible en superficie e composto orixinalmente por estruturas non permanentes, elaboradas con materiais perecedoiros do que só se conservan aqueles elementos escavados no xabre e na rocha. Así, os elementos documentados son os habituais neste tipo de xacementos, fosas globulares e pseudoglobulares (7 exemplares), buracos de poste (4) e estruturas liñais (3) que se distribúen dispersas ao longo de 350 metros liñais da gabia aberta para a canalización do gas. Recolléronse un total de 18 pezas líticas e 191 fragmentos cerámicos, presentando tres deles decoración de tradición campaniforme (composición en bandas horizontais).

Os autores do estudo conclúen que se trata dun poboado máis ou menos estable situado ao carón dunha bacía húmida, con chans lixeiros e ben drenados e nunha zona próxima a un lugar de recollida de augas, conformada neste caso polo rego de Figueiras. Un xacemento prototípico da Idade do Bronce.

Materiais do xacemento de Portabríns. Fonte C. Parcero e I. Cobas

A modo de conclusión. O novo conxunto rupestre do Fontecova – Pardaces

Chegou o momento de que fagamos, cando menos, un pequeno balance de resultados. O máis obvio é que sumamos, ao catálogo do concello de Santiago e da comarca, catro novas estacións de arte rupestre prehistórica e unha estación con gravados históricos.

Ademais o valor destes xacementos tamén reside na luz que aportan sobre o baleiro que había en canto aos rexistros da arte rupestre ao norte da cidade de Compostela, pois, ata o de agora non se coñecían manifestacións de arte rupestre na área comprendida entre o petróglifo do Pedroso e o petróglifo da Pedra que Fala, xa na parroquia de San Xoán de Fecha.

Un dos aspectos que comparten os xacementos de Casa do Frade, Os Gorgulliños e Fonte Matanza é o de estar situados nas proximidades de fontes, mananciais ou recollidas de augas. Os penedos gravados de Casa do Frade dominan a bacía do rego de Fontecova. No de Pardaces de Abaixo o microtopónimo inmediato ao sur da peneda é o de Gorgulliños. No de Fonte Matanza recóllese na súa denominación o microtopónimo do manancial de augas situado ao seu carón.

Outra das características que comparten case a totalidade das estacións con petróglifos descubertas é a elección das marxes de afloramentos de grandes dimensións, aqueles bordos orientados ao sur e ao sueste para gravar os motivos. Ao tempo, elixen superficies pouco destacadas, situadas ao carón de grandes afloramentos sobresaíntes no terreo. Esta disposición é similar á doutras estacións da comarca, comezando pola máis próxima, o petróglifo do Pedroso, ou aos tamén próximos petróglifos de Fonte Matanza aos que dedicaremos unha próxima entrada no noso blog.

En resumo, catro novas estacións nas que se conservan motivos do grupo abstracto e motivos do grupo naturalista destacándose as catro representacións de cervos con cornos desenvolvidos.

Os Gorgulliños. Panel 2. Reconstrución fotogramétrica

Ao mesmo tempo, podemos afirmar que son estes cervos do petróglifo dos Gorgulliños os situados máis ao leste cando menos da comarca e posiblemente tamén o estean entre os de toda Galicia. Ademais tamén son os situados máis ao norte entre os da comarca, e tamén de toda Galicia se exceptuamos a excepcional Pedra Xestosa no concello de Laxe que supón un caso único.

Fronteira oriental e norte da arte rupestre figurativa

Tamén destacables son as dimensións do gran cervo do petróglifo dos Gorgulliños, que o sitúan entre os de maiores dimensións da comarca xunto cos da Pena Bicuda de Loureiro na área arqueolóxica do Monte Piquiño no concello de Teo, e algúns exemplares da Pedra da Loba na Devesa da Rula. Outra curiosidade desta estación é que desde ela pódese contemplar o Pico Sacro.

Petróglifo dos Gorgulliños. Cervos

Outro dos aspectos que máis chaman a atención deste cervo é ter sido elaborado cun estilo ultra esquemático non moi habitual, aínda que os cervos da Casa do Frade 1 e un dos 4 exemplares da Peneda Negra tamén foron elaborados no mesmo estilo.

A estación de Casa do Frade 2 constitúe o conxunto máis destacado tanto se temos en conta a calidade dos motivos así como o seu estado de conservación, como se atendemos á plasticidade das súas combinacións de grandes dimensións adaptadas á morfoloxía do afloramento.

A combinación de círculos concéntricos gravada na superficie vertical desta estación tamén espertou en nós gran interese e pon en relación esta estación co petróglifo da Peneda Branca.

Bibliografía

  • Parcero Oubiña, C. e Cobas Fernández, I. “La arqueología en la gasificacion de Galicia 17: Actuaciones en asentamientos prehistóricos en el entorno de Santiago de Compostela”. 2005. TAPA 35. Traballos de Arqueoloxía e Patrimonio. CSIC.

  • Monteagudo, L. “Die Beile auf der Iberischen Halbinsel”. 1977. C.H. Beck’sche Werlagsbuchhandlung

2 pensamentos sobre “Á procura dos petróglifos do Monte da Fontecova (Compostela) III. O petróglifo dos Gorgulliños

Deixar un comentario

Este sitio emprega Akismet para reducir o spam. Aprende como se procesan os datos dos teus comentarios.